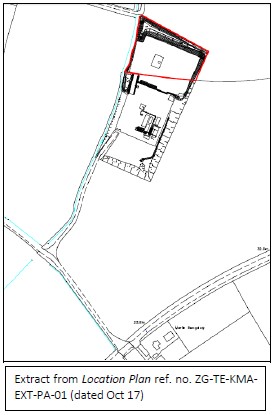
Published July 31, 2018 at 276 × 415 in Is Third Energy’s N Yorks gas pipeline in the wrong place? Third Enegry “red line boundary” plan of Kirby Misperton 1/3 sites not showing connection to the road ‹ Return to post Add a comment Cancel reply Δ